انطلاق موسم الصيد بمحطة تحضين الخاشعة السمكية
أعلن جهاز حماية وتنمية البحيرات والثروة السمكية"، عن إنطلاق موسم الصيد بمحطة تحضين الخاشعة السمكية، ضمن خطة متكاملة تستهدف رفع كفاءة المفرخات السمكية وتعظيم دورها في دعم وتنمية قطاع الثروة السمكية.
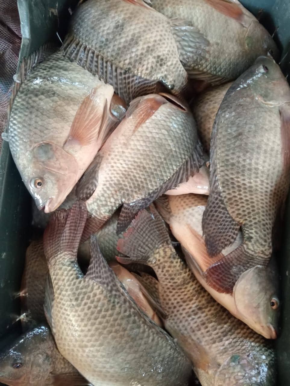
وأسفرت أعمال الحصاد عن صيد ما يقرب من 8 أطنان من الأسماك المتنوعة، من حوض تبلغ مساحته نحو 2 فدان، وهو ما يعكس المستوى المتميز للأداء الفني داخل المحطة، التي تُعد أحد المحطات الرئيسية التابعة للجهاز ذات الإنتاجية العالية.
ومن جانبه، أكد اللواء أ.ح الحسين فرحات المدير التنفيذي لجهاز حماية وتنمية البحيرات والثروة السمكية
أن الجهاز يواصل جهوده لتطوير المفرخات السمكية و محطات التحضين ورفع كفاءتها التشغيلية، باعتبارها أحد المحاور الأساسية في دعم منظومة الاستزراع السمكي وزيادة الإنتاج، مشددًا على أهمية الالتزام بالبرامج الفنية والعلمية الحديثة لتحقيق أفضل النتائج.

وفي هذا السياق، صرّح المهندس فخري عياد "مدير عام الإدارة العامة للمفرخات بالجهاز"، أن النتائج المتحققة خلال موسم الصيد تعكس نجاح خطط التشغيل والمتابعة الفنية الدقيقة داخل محطة الخاشعة، موضحًا أن المحطة تتمتع بإمكانات فنية متميزة تسهم في إنتاج أسماك وزريعة عالية الجودة، وأكد استمرار أعمال التطوير والدعم الفني للمفرخات و محطات التحضين بما يحقق الاستدامة ورفع معدلات الإنتاج.

كما أشار المهندس نادر عيد "مدير محطة الخاشعة السمكية"، إلى أن الاستعداد لموسم الصيد تم وفق خطة فنية محكمة، شملت المتابعة اليومية للأحواض السمكية، وتنفيذ برامج التغذية والرعاية الصحية، الأمر الذي ساهم في تحقيق إنتاج جيد وجودة مرتفعة للأسماك.
واختُتمت فعاليات الصيد بتوجيه الشكر والتقدير للعاملين بالمحطة والقائمين على أعمال الصيد والفرز، تقديرًا لجهودهم وانضباطهم في العمل، مع التأكيد على استمرار المتابعة خلال الموسم الحالي لتحقيق المستهدفات الإنتاجية للجهاز.




.jpg)
























